(Προς Πώληση) Αξιοποιήσιμη Γη Οικόπεδο || Ανατολική Αττική/Ανάβυσσος - 3.020 τ.μ, 1.000.000€

Χαρακτηριστικά

  •   WC:
  •   Έτος Κατασκευής:
  •   Parkings:

Περιοχή: Ανάβυσσος (Δ. Σαρωνικού)
Υποπεριοχή: Παραλία Αναβύσσου
Τιμή: 1.000.000€
Εμβαδόν: 3020
Κατηγορία: Αξιοποιήσιμη Γη
Τύπος: Οικόπεδο
Κατάσταση:
Τιμή/τ.μ.: 331€
Τ.μ. Οικοπέδου:
Επίπεδα:
ΠΕΑ:
Κωδικός: 1784491
Κωδικός: 13615
Σ.Δ.: 0,6
Σ.Κ.: 40
Χρήση Γης: Αμιγής Κατοικία
Σχέδιο Πόλεως: Εντός σχεδίου
 

Επιπλέον Χαρακτηριστικά

Οικοδομήσιμο Προσόψεως Γωνιακό Επίπεδο
 

Περιγραφή

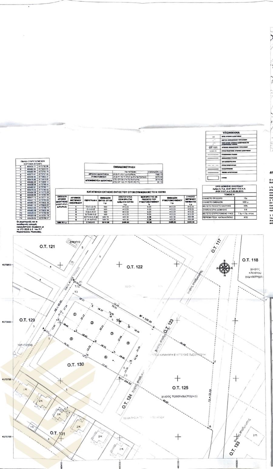
Ανάβυσσος, Παραλία Αναβύσσου, Οικόπεδο Προς Πώληση, Εντός σχεδίου, 3.020 τ.μ., Πρόσοψη (μ): 73, Βάθος (μ): 42, Σ.Δ: 0,6, Σ.Κ: 40, Θέα: Θάλασσα, Χαρακτηριστικά: Οικοδομήσιμο, Προσόψεως, Γωνιακό, Επίπεδο, Αμιγής Κατοικία, Α.Ο.Τ: 130, Απόσταση απο: Θάλασσα(m): 1140.Μπορεί να χωριστεί σε 6 οικόπεδα των 500 τετραγωνικών μέτρων.
 

Αναλυτική Περιγραφή

Ανάβυσσος, Αλυκές, Οικόπεδο Προς Πώληση, Μπορεί να χωριστεί σε 6 οικόπεδα των 500 τετραγωνικών μέτρων. Εντός σχεδίου, 3.020 τ.μ., Πρόσοψη (μ): 73, Βάθος (μ): 42, Σ.Δ: 0,6, Σ.Κ: 40, Θέα: Θάλασσα, Χαρακτηριστικά: Οικοδομήσιμο, Προσόψεως, Γωνιακό, Επίπεδο, Αμιγής Κατοικία, Α.Ο.Τ: 130.
 

Χάρτης

Σημεία Ενδιαφέροντος

Απόσταση από: Θάλασσα(m): 1140
 

Στατιστικά Ακινήτου

Δημοσίευση Ακινήτου: 11 Δεκ, 2024
Τελευταία ενημέρωση: 13 Οκτ, 2025
 

Με Ενδιαφέρει το ακίνητο

*
*
Τα πεδία με * είναι υποχρεωτικά
Εισάγετε τον κωδικό

Εργαλεία

Υπολογισμός Δανείου
Συμπληρώστε το Επιτόκιο (χωρίς το σύμβολο %} και τη Διάρκεια αποπληρωμής σε έτη. Αν επιθυμείτε μπορείτε να αλλάξετε και το ποσό
(%)
Νόμισμα

Διαδώστε το

logo (Προς Πώληση) Αξιοποιήσιμη Γη Οικόπεδο || Ανατολική Αττική/Ανάβυσσος - 3.020 τ.μ, 1.000.000€



Χαρακτηριστικά

Περιοχή: Ανάβυσσος (Δ. Σαρωνικού)
Υποπεριοχή: Παραλία Αναβύσσου
Τιμή: 1.000.000€
Εμβαδόν: 3020
Κατηγορία: Αξιοποιήσιμη Γη
Τύπος: Οικόπεδο
Κατάσταση:
Τιμή/τ.μ.: 331€
Υ/Δ:
WC:
Μπάνια:
Όροφος:
Έτος Κατασκευής:
Τ.μ. Οικοπέδου:
Επίπεδα:
ΠΕΑ:
ID code: 1784491
Κωδικός: 13615
Σ.Δ.: 0,6
Σ.Κ.: 40
Χρήση Γης: Αμιγής Κατοικία
Σχέδιο Πόλεως: Εντός σχεδίου
 

Περιγραφή

Ανάβυσσος, Παραλία Αναβύσσου, Οικόπεδο Προς Πώληση, Εντός σχεδίου, 3.020 τ.μ., Πρόσοψη (μ): 73, Βάθος (μ): 42, Σ.Δ: 0,6, Σ.Κ: 40, Θέα: Θάλασσα, Χαρακτηριστικά: Οικοδομήσιμο, Προσόψεως, Γωνιακό, Επίπεδο, Αμιγής Κατοικία, Α.Ο.Τ: 130, Απόσταση απο: Θάλασσα(m): 1140.Μπορεί να χωριστεί σε 6 οικόπεδα των 500 τετραγωνικών μέτρων.
 
Loading...